>Dr
El uso de drones en el levantamiento topográfico minero se ha hecho mas frecuente, en especial para el control de zonas peligrosas, inaccesibles o simplemente para trabajos de levantamiento topográfico para las primeras etapas del proyecto minero.
La precisión resultante dependerá del tipo de tecnología usada, el numero de satelites detectables en la zona y si es que se cuenta o no con puntos de control (GCP).
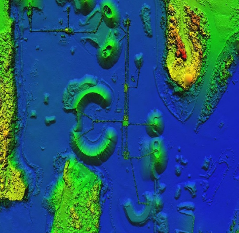
Desea conocer las dimensiones de una zona de subsidencia en un BC/PC? . El uso de esta tecnología le permitirá tener una excelente aproximación, sin correr riesgos para las personas que ejecuten la tarea de levantamiento topográfico.






Contáctenos para tener el gusto de atenderle y analizar su requerimiento.
Mineria21
© 2015 Todos los derechos reservados - Terra21 Ing. y Servicios SpA